Skip to main content Skip to main menu Skip to footer
Home

Header menu

  • Search the Website
  • Volunteer
  • Contact the Town
  • Make a Payment
  • Search By-Laws
  • Request a Service or Submit an Issue
  • Apply for a Job

Main navigation

  • Town Services
    • Water & Wastewater
      • Drinking Water
      • Water Reports
      • Irrigation & Drainage
      • Protecting our Hydrants
      • Wastewater
      • Grinder Pumps
      • Service Line Warranty Program
    • Parking
      • Permits & Penalties
      • Paying or Disputing a Parking Ticket
      • Where to Park & How to Pay
    • Roads & Infrastructure
      • Construction Process
      • Transit Services
      • Snow Procedures
      • Engineering
    • Health & Education
      • Schools
      • Health Facilities & Services
    • Fire & Emergency Services
      • Alarm Assistance Program
      • Fire Department
      • Fireworks
      • Open Air Burns
      • Emergency Medical Services
      • Police
      • Emergency Management
    • By-law Enforcement
      • Administrative Monetary Penalty System Screening Request Form (AMPS Request Form)
      • Bird Bangers
      • Property Standards
      • How to Request a Screening of a Penalty Notice
    • Building Services
      • Pools, Hot Tubs & Enclosures
    • Environmental Stewardship
      • Biodiversity and Nature
      • Climate and Energy
      • Weather & Flood Management
    • Animal Care & Control
      • Dog Licences
      • Coyotes
    • Cemeteries
    • Garbage & Utilities
      • Hydro
      • Garbage & Recycling
    • Commissioning Services
    • Religious Activities
    • Accessibility
  • Recreation & Events
    • Community News
      • NOTL News
      • Subscribe to Updates
    • Community Events Calendar
    • Community Initiatives & Events
      • A History of Niagara’s Historic Court House
      • Step Challenge
    • Community Guide
    • Facilities
      • Facility Rentals
    • New Residents
    • Parks & Trails
    • Programs & Activities
      • Aquatics Programs
      • Day Camp Programs
      • Public Skating & Arena Programming
      • Recreation Programs: Youth & Family
      • Recreational Programs – Adult & Senior 55+
    • Public Library
    • Truth and Reconciliation
    • Special Events
    • Volunteer Talent Bank
  • Business & Development
    • Advertise With Us
    • Bid Opportunities
    • Business Directory
    • Economic Development
      • About NOTL
      • Key Sectors
      • Community Profile
      • Research & Innovation
      • Small Business Development
      • Business Resources
    • Planning Services
      • Planning Applications
      • Public Planning Notices
      • Site Plan Applications and Agreements
      • Current Official Plan
      • Zoning By-laws
      • Heritage Planning
      • Urban Design
      • Committee of Adjustment
    • Projects & Initiatives
    • Short Term Rentals
    • Sign Permit Application
    • Temporary Patio Program
    • Tourism
  • Council & Government
    • Applications & Forms
      • Hunting Licences
      • Lottery Licences
      • Special Occasion Permits
    • Mayor & Council
      • Committees of Council Recruitment
      • Council Members
      • Committees & Boards
      • Strategic Plan
      • Delegation Requests
      • Strong Mayor Powers
      • News from the Lord Mayor's Office
    • Meetings, Agendas & Minutes
    • By-law Directory
    • Budget & Finance
      • Community and Youth Initiatives Grant Program
    • Policies & Publications
    • Municipal Accommodation Tax
    • Property Taxes
    • Elections
    • Accountability & Transparency
      • Integrity Commissioner
      • Disclosures & Conflict of Interest
      • Freedom of Information
    • Department Directory
    • Amalgamation

Header menu

  • Search the Website
  • Volunteer
  • Contact the Town
  • Make a Payment
  • Search By-Laws
  • Request a Service or Submit an Issue
  • Apply for a Job
Home

Main navigation

  • Town Services
    • Water & Wastewater
      • Drinking Water
      • Water Reports
      • Irrigation & Drainage
      • Protecting our Hydrants
      • Wastewater
      • Grinder Pumps
      • Service Line Warranty Program
    • Parking
      • Permits & Penalties
      • Paying or Disputing a Parking Ticket
      • Where to Park & How to Pay
    • Roads & Infrastructure
      • Construction Process
      • Transit Services
      • Snow Procedures
      • Engineering
    • Health & Education
      • Schools
      • Health Facilities & Services
    • Fire & Emergency Services
      • Alarm Assistance Program
      • Fire Department
      • Fireworks
      • Open Air Burns
      • Emergency Medical Services
      • Police
      • Emergency Management
    • By-law Enforcement
      • Administrative Monetary Penalty System Screening Request Form (AMPS Request Form)
      • Bird Bangers
      • Property Standards
      • How to Request a Screening of a Penalty Notice
    • Building Services
      • Pools, Hot Tubs & Enclosures
    • Environmental Stewardship
      • Biodiversity and Nature
      • Climate and Energy
      • Weather & Flood Management
    • Animal Care & Control
      • Dog Licences
      • Coyotes
    • Cemeteries
    • Garbage & Utilities
      • Hydro
      • Garbage & Recycling
    • Commissioning Services
    • Religious Activities
    • Accessibility
  • Recreation & Events
    • Community News
      • NOTL News
      • Subscribe to Updates
    • Community Events Calendar
    • Community Initiatives & Events
      • A History of Niagara’s Historic Court House
      • Step Challenge
    • Community Guide
    • Facilities
      • Facility Rentals
    • New Residents
    • Parks & Trails
    • Programs & Activities
      • Aquatics Programs
      • Day Camp Programs
      • Public Skating & Arena Programming
      • Recreation Programs: Youth & Family
      • Recreational Programs – Adult & Senior 55+
    • Public Library
    • Truth and Reconciliation
    • Special Events
    • Volunteer Talent Bank
  • Business & Development
    • Advertise With Us
    • Bid Opportunities
    • Business Directory
    • Economic Development
      • About NOTL
      • Key Sectors
      • Community Profile
      • Research & Innovation
      • Small Business Development
      • Business Resources
    • Planning Services
      • Planning Applications
      • Public Planning Notices
      • Site Plan Applications and Agreements
      • Current Official Plan
      • Zoning By-laws
      • Heritage Planning
      • Urban Design
      • Committee of Adjustment
    • Projects & Initiatives
    • Short Term Rentals
    • Sign Permit Application
    • Temporary Patio Program
    • Tourism
  • Council & Government
    • Applications & Forms
      • Hunting Licences
      • Lottery Licences
      • Special Occasion Permits
    • Mayor & Council
      • Committees of Council Recruitment
      • Council Members
      • Committees & Boards
      • Strategic Plan
      • Delegation Requests
      • Strong Mayor Powers
      • News from the Lord Mayor's Office
    • Meetings, Agendas & Minutes
    • By-law Directory
    • Budget & Finance
      • Community and Youth Initiatives Grant Program
    • Policies & Publications
    • Municipal Accommodation Tax
    • Property Taxes
    • Elections
    • Accountability & Transparency
      • Integrity Commissioner
      • Disclosures & Conflict of Interest
      • Freedom of Information
    • Department Directory
    • Amalgamation

Section navigation

Business & Development

  • Town Services
    • Water & Wastewater
      • Drinking Water
      • Water Reports
      • Irrigation & Drainage
      • Protecting our Hydrants
      • Wastewater
      • Grinder Pumps
      • Service Line Warranty Program
    • Parking
      • Permits & Penalties
      • Paying or Disputing a Parking Ticket
      • Where to Park & How to Pay
    • Roads & Infrastructure
      • Construction Process
      • Transit Services
      • Snow Procedures
      • Engineering
    • Health & Education
      • Schools
      • Health Facilities & Services
    • Fire & Emergency Services
      • Alarm Assistance Program
      • Fire Department
        • Operations & Training
        • Community Risk Reduction
      • Fireworks
      • Open Air Burns
      • Emergency Medical Services
      • Police
      • Emergency Management
    • By-law Enforcement
      • Administrative Monetary Penalty System Screening Request Form (AMPS Request Form)
      • Bird Bangers
      • Property Standards
      • How to Request a Screening of a Penalty Notice
    • Building Services
      • Pools, Hot Tubs & Enclosures
    • Environmental Stewardship
      • Biodiversity and Nature
        • Invasive Species
        • Native Plants
        • Trees
          • Private Tree Protection
          • Public Tree Protection
          • Ash Tree Inventory
          • Chautauqua Community Tree Plan
      • Climate and Energy
        • Climate Change
        • Energy Conservation & Demand Management Plan
        • Idling Reduction By-law
      • Weather & Flood Management
        • Flooding Prevention
        • Weather Stations
    • Animal Care & Control
      • Dog Licences
      • Coyotes
    • Cemeteries
    • Garbage & Utilities
      • Hydro
      • Garbage & Recycling
    • Commissioning Services
    • Religious Activities
    • Accessibility
  • Recreation & Events
    • Community News
      • NOTL News
      • Subscribe to Updates
    • Community Events Calendar
    • Community Initiatives & Events
      • A History of Niagara’s Historic Court House
      • Step Challenge
    • Community Guide
    • Facilities
      • Facility Rentals
    • New Residents
    • Parks & Trails
    • Programs & Activities
      • Aquatics Programs
      • Day Camp Programs
      • Public Skating & Arena Programming
      • Recreation Programs: Youth & Family
      • Recreational Programs – Adult & Senior 55+
    • Public Library
    • Truth and Reconciliation
    • Special Events
    • Volunteer Talent Bank
  • Business & Development
    • Advertise With Us
    • Bid Opportunities
    • Business Directory
    • Economic Development
      • About NOTL
        • Location
        • Transportation
        • Workforce
        • Post Secondary Education
        • Economic Trade Corridor (Region)
      • Key Sectors
        • Agri-Business
        • Manufacturing
        • Tourism Sector
      • Community Profile
      • Research & Innovation
      • Small Business Development
      • Business Resources
    • Planning Services
      • Planning Applications
      • Public Planning Notices
      • Site Plan Applications and Agreements
      • Current Official Plan
        • Official Plan Review
      • Zoning By-laws
      • Heritage Planning
        • Queen-Picton Heritage Conservation District Study
        • Character Study - Rand Estate and John Street East
      • Urban Design
      • Committee of Adjustment
    • Projects & Initiatives
    • Short Term Rentals
    • Sign Permit Application
    • Temporary Patio Program
    • Tourism
  • Council & Government
    • Applications & Forms
      • Hunting Licences
      • Lottery Licences
      • Special Occasion Permits
    • Mayor & Council
      • Committees of Council Recruitment
      • Council Members
      • Committees & Boards
      • Strategic Plan
      • Delegation Requests
      • Strong Mayor Powers
      • News from the Lord Mayor's Office
    • Meetings, Agendas & Minutes
    • By-law Directory
    • Budget & Finance
      • Community and Youth Initiatives Grant Program
    • Policies & Publications
    • Municipal Accommodation Tax
    • Property Taxes
    • Elections
    • Accountability & Transparency
      • Integrity Commissioner
      • Disclosures & Conflict of Interest
      • Freedom of Information
    • Department Directory
    • Amalgamation

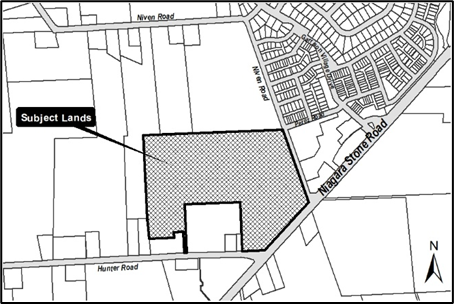
2080 Niagara Stone Road (Stone Eagle Winery) - Minor Variance A-23/25

Public Meeting Date/Time
December 18, 2025 - 6:00pm
Related Documents
A-23-25 2080 Niagara Stone Road - Floor Plans.pdf
A-23-25 2080 Niagara Stone Road - MV Application Form.pdf
A-23-25 2080 Niagara Stone Road - OFDU Calculations.pdf
A-23-25 2080 Niagara Stone Road - Planning Brief.pdf
A-23-25 2080 Niagara Stone Road - Site Plan.pdf
A-23-25 2080 Niagara Stone Road - Public Notice.pdf
A-23-25 2080 Niagara Stone Road - Decision Notice.pdf
A-23-25 2080 Niagara Stone Road - Notice of No Appeal.pdf

Location map:

Image

Breadcrumb

  1. Home
  2. Business & Development
  3. Planning Services
  4. Committee of Adjustment
  5. 2080 Niagara Stone Road (Stone Eagle Winery) - Minor Variance A-23/25
Your input is important!
Feedback Opportunities

Connect With Us

Town Administration Building
1593 Four Mile Creek Road
P.O. Box 100
Virgil, ON L0S 1T0
Phone: 905-468-3266 ext. 0
After Hours: 905-682-2704

Office hours are Monday to Friday, from 8:30 a.m. to 4:30 p.m. (excluding holidays).

  • Contact the Town
  • Email Us
  • Submit a Service Request
  • Make a Payment
  • Explore Employment Opportunities
  • Share Your Photos

We Welcome Your Feedback

We're always looking for ways to enhance your online experience! Let us know how we're doing.

Provide Feedback

Get Social With Us!

Social Media Guidelines

Footer menu

  • Join the Conversation
  • NOTL Museum
  • NOTL Public Library
  • Tourism NOTL

© NOTL 2026

•

Website by Upanup