Open House Date/Time
Public Meeting Date/Time
Application Description:
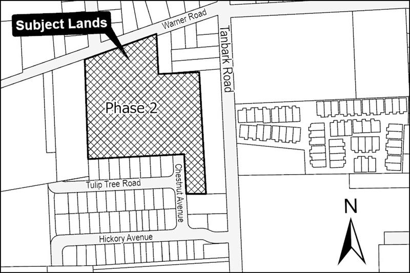
The proposal is to facilitate the development of 5 new blocks to accommodate 18 on-street townhouse dwellings within Block 27 of the Council-approved Tawny Ridge Phase 2 Draft Plan of Subdivision development. The proposal also requests to amend the existing "Residential Multiple (RM1) Site-Specific Zone" to permit the townhouses and establish provisions for lot frontage, lot area, lot coverage, building height, and front, interior side and rear yard setbacks.
Location Map:
Image

Related Documents
Notice of Open House, Complete Application, and Public Meeting