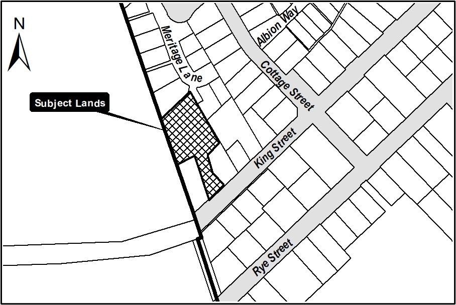
Northwest side of King Street, south of Cottage Street - Holding (H) Removal Zoning By-law Amendment

Application Description:

The Zoning By-law Amendment Application proposes to remove the Holding (H) symbol that applies to the subject lands (see location map) through site-specific Zoning By-law 4316FF-24, as approved by the Ontario Land Tribunal on April 26, 2024. 

The Holding (H) symbol shall be removed upon final approval of a stormwater management approach. The required stormwater management documents have been reviewed and approved through a separate ongoing process with the Town (File SP-01-2025). 

Removal of the Holding (H) symbol will permit development of a 3- storey, 17-unit apartment building with the existing site-specific Zoning By-law provisions.

Location Map:

Image
A map showing the subject lands.